枇杷烟煤病是一种主要危害枇杷的植物性疾病,常给枇杷生产带来一定损失。下面我们介绍一下枇杷烟煤病的发病症状、防治方法和发病规律,供参考。
一、枇杷烟煤病的发病症状

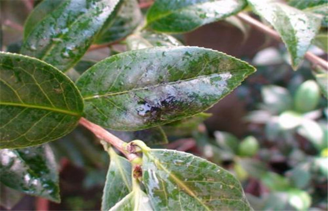
初期在叶、果或枝梢上出现一层污褐色不规则霉斑,此后霉斑不断扩大,霉层可以覆盖整个叶面和果面,叶背不受害,用手擦之即呈片状脱落。
枝梢上的霉层由于茎表皮龟裂或嫩梢多毛而不易除去。
果实常因盖有一层黑霉而在成熟时影响着色,味道欠佳。
二、枇杷烟煤病的病原是什么

本病由一种刺盾炱菌chaetothyrium sp.所致,属子囊菌亚门,腔菌纲,座囊菌目,煤炱菌科,刺盾炱属。
三、枇杷烟煤病发生规律
主要为害叶片,有时也为害果实,发生不很普遍,危害也不太严重。叶被害影响光合作用,果受害影响商品价值。
病菌以菌丝体或分生孢子器在病部越冬,翌年春季散生出孢子借风雨传播,蚜虫为本病相关媒介,其分泌物促进了病害的发生。
枇杷烟煤病的栽培管理不良或失管的果园,特别是荫蔽潮湿的地块,有利枇杷烟煤病的流行。
四、枇杷烟煤病的防治方法

1、蚜虫主要在枇杷嫩梢抽发期发生,应结合枇杷黄毛虫等害虫的发生进行兼防。
2、加强管理,合理修剪,使果园通风透光。
3、用机油乳剂200倍液对加50%多菌灵可湿性粉剂500倍液稀释,再加1%煤油喷施叶面,效果良好,霉层在夏季可全部脱落。





